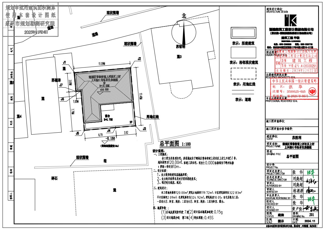
鲤城区常泰街道上村社区上兴街51号翻建项目《建设工程规划许可证》批前公示
时间:2025-12-30 10:24 浏览量:1